

$449,000
Mobile:
609-576-2790Office
609-399-0076x1330
0
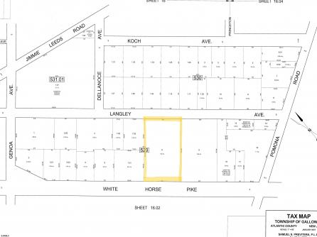
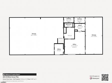
Excellent Opportunity to reopen this currently closed car lot on 1.44 acres on the very high traffic White Horse Pike in Galloway located between the Pomona Super WAWA and Dollar General Store going west on the White Horse Pike. With the HC-2 Commercial Zoning the property can almost accommodate any business with the Approval of Galloway Township which would include 2 possible commercial pad sites. The current property can accommodate 35 plus cars with a secured storage lot, 3 bay auto garage and 1 bay detail shop along with offices, a rest room and upstairs storage mezzanine. The office 1st floor roof was replaced in 2024 while the garage has a metal roof . With township approval the car lot license can be transferred to the new owner and is currently the only property currently available with a car lot license in Galloway. Previously the property had a lucrative U Haul Contract also that can probably be renewed by the new owner. This is a rare turnkey opportunity in one of the area\'s busiest commercial corridors with excellent ingress and egress to allow smooth customer flow with premium frontage on Rt 30 and also on Langley Ave that delivers excellent exposure with very flexible commercial zoning. The property is being Sold in AS IS Condition. The buyer will be responsible for any inspections, certifications or repairs necessary to close.
| Total Rooms | |
| Full Bath | 0 |
| # of Stories | |
| Year Build | 1955 |
| Lot Size | |
| Tax | 2025.00 |
| SQFT |
| Exterior | Frame/Wood |
| Basement | Slab |
| HotWater | Electric |
| Sewer | Public Sewer |
| Bedrooms | 0 |
| Half Bath | 0 |
| # of Stories | |
| Lot Dimensions | |
| # Units | |
| Tax Year | 20198 |
| Area | Galloway Twp |
| ParkingGarage | 11 or More Spaces |
| Heating | Forced Air, Gas-Propane |
| Water | Public |