

$1,799,000
Mobile:
609-412-6592Office
609-399-4211x233Duplex
0
0
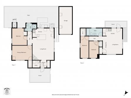
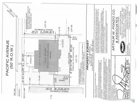
9406 Pacific Ave, Margate, NJ — Coastal Duplex with Expansion Potential Discover an incredible opportunity in the heart of Margate’s beloved beach district. Just steps to the sand and surf, 9406 Pacific Ave offers the best of coastal living with built-in future upside. Currently configured as a charming duplex, each unit features 2 bedrooms and 1 full bath, offering the perfect setup for personal use, rental income, or multi-generational living. Enjoy off-street parking with a driveway and garage, plus a cozy backyard ideal for grilling, relaxing, or storing beach gear. Sitting on a 50x57 lot, this property also presents an exciting opportunity for those looking to build new. Whether you envision a luxury single-family beach home or a modern coastal retreat, this location supports elevated new construction with enhanced ocean views. Whether you\'re an investor, builder, or beach lover seeking a prime Margate address, this property checks all the boxes. Opportunities like this are rare, especially this close to the ocean
| Total Rooms | |
| Full Bath | 0 |
| # of Stories | |
| Year Build | 1949 |
| Lot Size | 1 to 6000 SqFt |
| Tax | 8251.00 |
| SQFT |
| Heating | Gas Natural |
| HotWater | Gas |
| Sewer | Public |
| Bedrooms | 0 |
| Half Bath | 0 |
| # of Stories | |
| Lot Dimensions | 50x57 |
| # Units | 2 |
| Tax Year | 2025 |
| Area | Out of County |
| Cooling | Other |
| Water | Public |